DLF Richmond Park

DLF Phase IV, Gurugram
🧭
✦ World's First Platform

Check Vastu of Any Flat in This Society Instantly

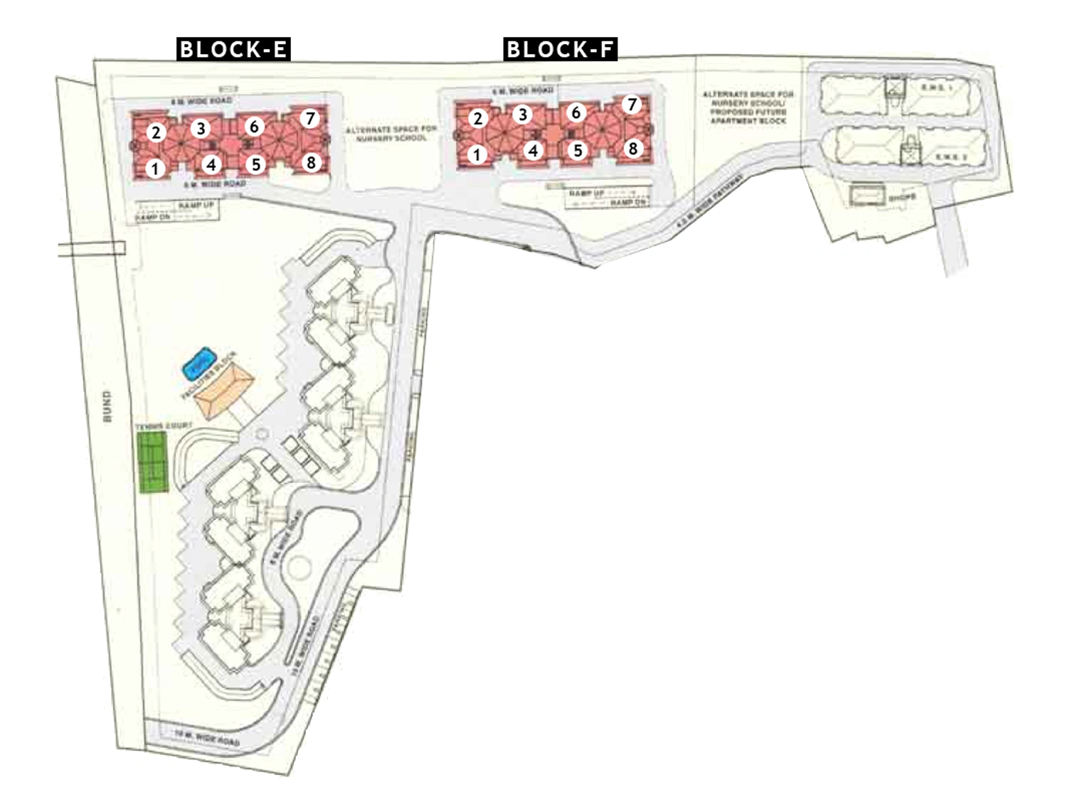
Find your tower -.- Look for Unit Number -.- Check Vastu

DLF Richmond Park, a high-rise society located in DLF Phase IV of Gurugram. This residential project is a Ready to Move society. DLF Richmond Park is not registered under RERA. DLF Richmond Park is spread across 23 acres of land. It has 2 towers and total of 280 units. This society has apartments in 2BHK and 3BHK configurations. DLF Richmond Park has 4 types of Vastu compliant apartments that meets the criteria set by Hunt Vastu Homes. It makes it a total possibility of 80 Vastu compliant apartments that follow better Vastu principles than the other apartment in the society. 2BHK, 3BHK flats are in the range of ₹3.54 cr - ₹6.01 cr. DLF Richmond Park has been designed keeping the modern urbane sensibilities in mind and as such boasts a host of world-class amenities. Here’s a sneak-peek into the amenities that not only add great value to the property but to the lifestyle of the residents too: 24 Hour Security, 24x7 Water Supply, Badminton Court, Basketball Court, Billiards / Pool, Car Parking, CCTV Camera, Club House and Community Center.

Read More
Completion Year

2002

Construction Status

Ready to Move

Price Range

₹3.54 cr - ₹6.01 cr

Developer

DLF Builders

To View Vastu Details Select Tower & Unit

Near by projects

Video Tour

Frequently Asked Question

Is DLF Richmond Park RERA registered?

No! DLF Richmond Park is not RERA registered.

Who is the developer of DLF Richmond Park?

DLF Richmond Park is developed by DLF Builders.

Which is the closest railway station to DLF Richmond Park?

DLF Richmond Park is 11.7 kms from Gurugram Railway Station.

How far is DLF Richmond Park from the Airport?

The distance between DLF Richmond Park and Indira Gandhi International Airport is 13.7 kms.

How many vastu compliant flats are in DLF Richmond Park?

There are 80 Vastu compliant flats in DLF Richmond Park.

Are there any hospitals near DLF Richmond Park?

Paras Hospital is just 4.4 kms away from DLF Richmond Park.

Are there any good schools near DLF Richmond Park?

ORCHIDS The International School is just 4.6 kms away from DLF Richmond Park.

Which is the closest metro station to DLF Richmond Park?

Sector 42-43 Metro Station is the closest metro station to DLF Richmond Park. It is 1.9 kms away.